Vendita Villa

Villa

Via Monte Grappa, Pertengo, Vercelli

51.000 €
150
mq
4
Locali
1
Camere
1
Bagni

Recensisci questo Immobile

Devi essere registrato per lasciare una recensione.

Accedi

Nessuna recensione ancora. Sii il primo!

Descrizione

? Villa indipendente con ampio giardino – A soli 10 minuti da Vercelli! ?

Se cerchi una casa indipendente con grande potenziale, questa villa è l'opportunità perfetta! Situata in una zona tranquilla e immersa nel verde, a soli 10 minuti di auto da Vercelli, questa proprietà offre spazi generosi e un grande giardino ideale per chi ama la natura e la privacy.

Caratteristiche principali:

✅ Superficie ampia – Spazi interni da personalizzare secondo le proprie esigenze
✅ Giardino molto spazioso – Perfetto per relax, orto, piscina o area giochi
✅ Tettoia nuova – Ottima per parcheggiare più veicoli o creare una zona living esterna
✅ Da ristrutturare – Personalizzala a tuo gusto e rendila la casa dei tuoi sogni!
✅ Ottima posizione – Tranquillità della campagna con la comodità della città vicina

Tetto revisto due anni fa.

? Perfetta per chi cerca indipendenza e vuole una casa da rinnovare con ampi spazi verdi!

? Prezzo interessante! Contattaci per maggiori informazioni e per una visita!

Caratteristiche

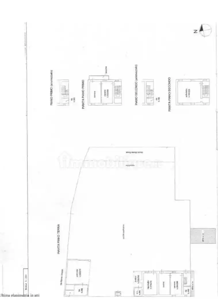
Piano 3 piani: Piano terra, da 1° a 2°
Stato Da ristrutturare
Riscaldamento Assente
Garage 2 in box privato/box in garage, 2 in parcheggio/garage comune

Servizi e accessori

Cucina Balcone Giardino privato

Posizione

Agenzia Immobiliare

Storico

Pubblicato 02 Jan 2026
Aggiornato 23 Feb 2026
Sul mercato 53 giorni
ID Annuncio 118441467