Vendita Villa

Villa

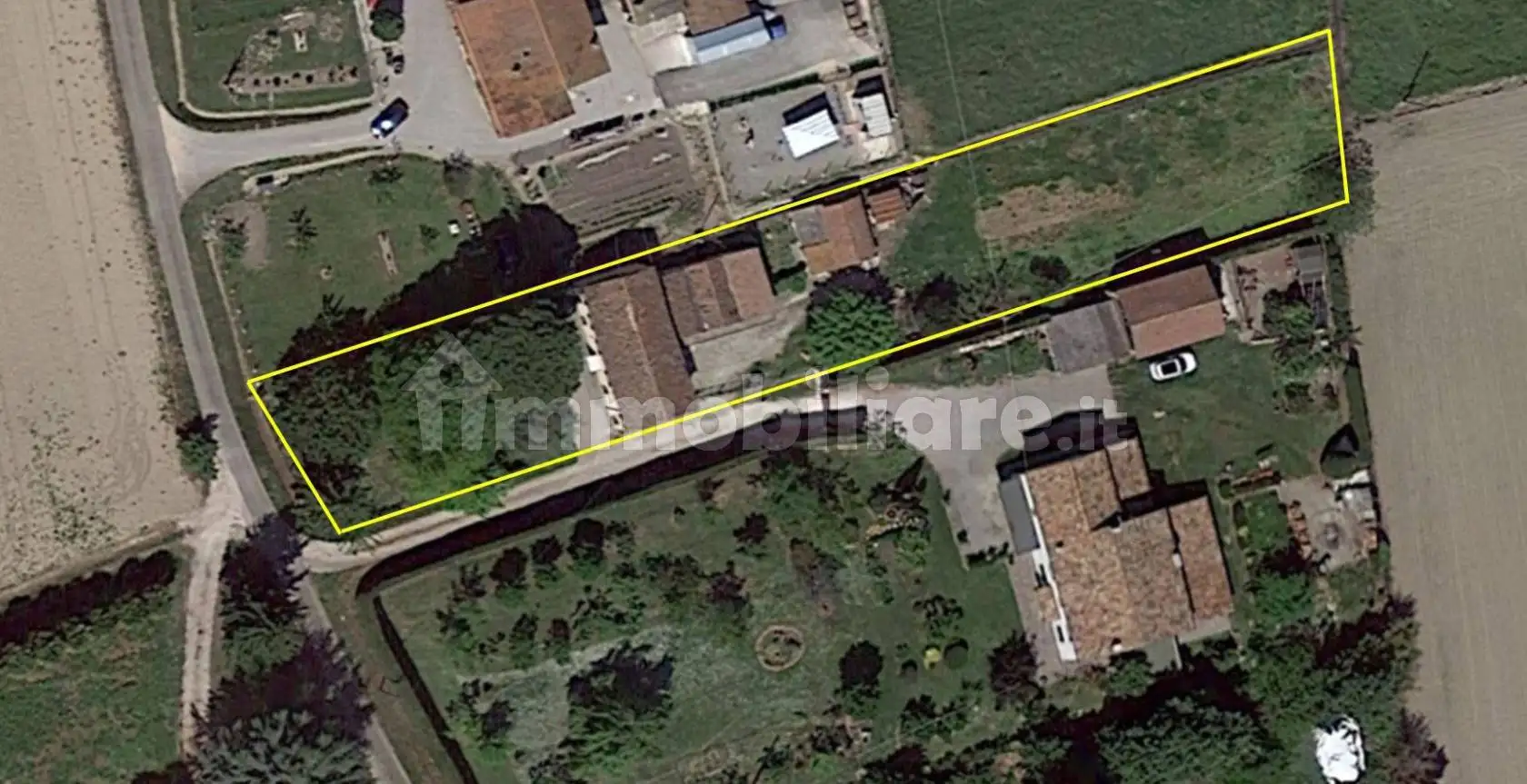
Via Bastia, 331, Conselice, Ravenna

Prezzo su richiesta
280
mq
5
Locali
3
Camere
2
Bagni

Recensisci questo Immobile

Devi essere registrato per lasciare una recensione.

Accedi

Nessuna recensione ancora. Sii il primo!

Descrizione

A Lavezzola (RA), sulla strada principale e comoda al centro del paese, si propone un'abitazione completamente indipendente.
L'immobile si sviluppa su due piani, terra e rialzato. Al piano rialzato si trova la zona abitabile composta da: ingresso su corridoio, sala da pranzo/soggiorno, cucina abitabile e studio; un disimpegno conduce al reparto notte dove troviamo 3 camere da letto e bagno. Il piano terra è accessibile sia tramite scala interna oppure direttamente dall'esterno ed è composto da locali adibiti a cantina, dove trovano spazio un camino, un cucinotto e una zona lavanderia, completano il tutto un bagno e un garage.
Le finiture sono quelle originali, risaltano i pavimenti in mosaico nella zona giorno e cucina.
Nel retro in corpo separato si trova un fabbricato adibito a garage/legnaia.
La corte si estende su tutti i quattro lati più un terreno di 450 mq attualmente adibito a prato.

Per maggiori informazioni contattaci al numero 0532 852637.

Caratteristiche

Posizione

Referente

Torre Srl

Storico

Pubblicato 12 Jan 2026
Aggiornato 24 Feb 2026
Sul mercato 43 giorni
ID Annuncio 123688263

Recensioni

Vedi tutte
A

Alessandro Bottaro

4.7

Ho trovato l’agenzia molto professionale e onesta nelle valutazioni, il che mi ha dato fiducia sin dall’inizio. Mi sono sentito seguito e accompagnato con attenzione durante tutte le visite, rendendo...

A

Alessandra Verdi

4.7

Ho trovato l'agenzia molto professionale e chiara nelle spiegazioni, il processo di vendita è stato trasparente e senza sorprese. Mi hanno accompagnato con competenza durante le visite, aiutandomi a p...

E

Elisa Scaglione

4.3

Ho scelto questa agenzia perché avevo bisogno di qualcuno che mi seguisse con pazienza e professionalità nella ricerca dell’appartamento per i miei figli universitari. Mi sono trovata davvero bene, so...