Indietro
Casa indipendente all'asta via di bogaia, 14, Prato
Asta
Asta Casa indipendente

Casa indipendente all'asta via di bogaia, 14, Prato

Via di bogaia, 14, Prato, Prato

70.000 €
Ottimo Affare: 76% sotto la media
177
mq
5+
Locali

Recensisci questo Immobile

Devi essere registrato per lasciare una recensione.

Accedi

Nessuna recensione ancora. Sii il primo!

Descrizione

diritto di nuda proprietà, gravato da diritto di usufrutto vitalizio in favore di un soggetto nato in data 08/08/1944, su porzione di un più ampio complesso immobiliare posto nel comune di prato (po), via di bogaia n. 14 e precisamente:
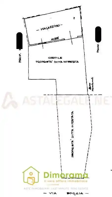
a) abitazione del tipo “terratetto” sviluppantesi su due livelli, composta al piano terra da ingresso, cucina-pranzo, sala, piccolo ripostiglio sottoscala e resede esclusivo; al piano primo, accessibile mediante scala interna, da disimpegno, tre camere di cui una di passaggio ed un bagno;
b) magazzino al piano terra del medesimo fabbricato, avente accesso unicamente dal resede dell’abitazione sopra descritta, costituito da un unico vano.

Servizio ASTA SICURA – acquista in asta senza sorprese: segnalazione nuove aste, segnalazione immobili pericolosi (occupati, non liberabili, non acquistabili con mutuo, ecc), prenotazione e gestione visita, determinazione costi occulti e costi totali dell’asta, deposito offerta ed assistenza asta telematica, assistenza mutui, gestione amministrativa post-asta, liberazione immobile e consegna delle chiavi. Pensiamo noi a tutto.
Dimorama garantisce qualità, esperienza ed i servizi ai costi più convenienti sul mercato.

Consulenti INDIPENDENTI dal 2008. Dimorama = oltre 60.000 aste partecipate in 17 anni di attività, centinaia di recensioni 5 stelle su Google.

ACQUISTO PRE-ASTA: diamo nota che NON è assolutamente possibile garantire automaticamente un acquisto pre-asta per ogni immobile in vendita in asta giudiziaria. L’acquisto pre-asta è possibile esclusivamente in particolari condizioni, verificabili solo dopo dettagliata analisi delle carte, da effettuare con largo anticipo sulla data dell’asta.

Dimorama: compra casa e risparmia, senza stress.

Caratteristiche

Ascensore No
Stato Buono / Abitabile
Riscaldamento Assente

Posizione

Zona: Tavola (Tavola, Le Fontanelle, Paperino, Castelnuovo)

Storico

Pubblicato 29 Dec 2025
Aggiornato 15 Feb 2026
Sul mercato 54 giorni
ID Annuncio 124695381

Recensioni

Vedi tutte
M

Massimo Porcu

4.0

Ricordo ancora il momento in cui ho trovato l’ufficio perfetto per la mia attività, grazie alla loro grande disponibilità e attenzione alle mie esigenze. Sono stato molto soddisfatto della loro pazien...

L

Loris Rinaldi

5.0

Stavo cercando una casa più vicina ai miei genitori anziani, e l'agenzia mi ha seguito con molta pazienza fino a trovare l'immobile ideale. Sono stato molto soddisfatto dell’assistenza durante tutto i...