Asta Appartamento Nuovo

Appartamento

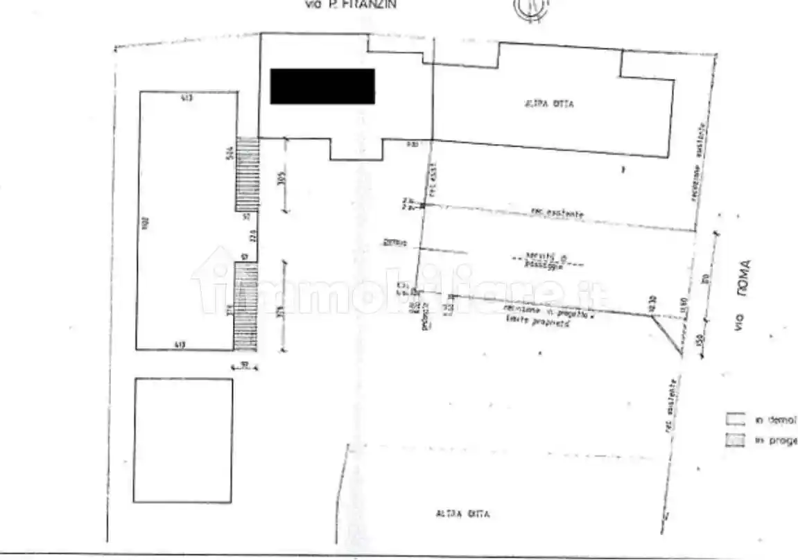
Via roma, 40, Fossalta di Piave, Venezia

Prezzo
135
mq
3
Locali
1
Camere

Recensisci questo Immobile

Devi essere registrato per lasciare una recensione.

Accedi

Nessuna recensione ancora. Sii il primo!

Descrizione

Acquisto Assistito in Asta Giudiziaria
Per maggiori proposte visita il sito dell’agenzia: www.asteagency.com

Verifica fattibilità d’acquisto in PRE-ASTA

DATA ASTA : 17/02/26

UBICAZIONE E DESCRIZIONE:
Via Roma, 40 Fossalta di Piave VE

Descrizione sintetica: abitazione con pertinenziale scoperto esclusivo.
L'abitazione è articolata al piano terra e primo, composta oltre ai corpi scala sia interno che esterno di collegamento verticale, al piano terra da ingresso, cucina - pranzo, soggiorno, wc, c.t., magazzino; al primo piano da disimpegno, bagno, disimpegno, camera, oltre poggioli.

Aste Agency SRL offre il servizio di assistenza per acquistare tramite un mutuo con banche convenzionate. Assiste ed indirizza, dall’aggiudicazione fino alla consegna delle chiavi.

PERCHE’ COMPRARE ALL’ASTA:
- Acquisto sicuro tramite Tribunale;
- Prezzo inferiore rispetto al mercato libero, quindi rata del mutuo più bassa;
- Banche convenzionate con i Tribunali;
- Nessun vincolo di prezzo nella rivendita e nella locazione.

Le Aste Giudiziarie sono soluzioni abitative a prezzi unici, in quanto si compera ad un prezzo inferiore, paragonato alla realtà proibitiva del mercato libero, e l’investimento immobiliare risulta essere sicuramente conveniente.
Per maggiori delucidazioni vi invitiamo a contattarci. Sarà nostra premura fissare un appuntamento in studio e trasferirvi tutte le informazioni necessarie per un’attenta e serena valutazione.

ASTE AGENCY SRL – Contattateci per un appuntamento presso uno dei nostri uffici o in videochiamata.

Caratteristiche

Piano Piano terra
Ascensore No
Stato Buono / Abitabile
Riscaldamento Autonomo

Servizi e accessori

Cucina Balcone

Posizione

Referente

Khoshnoudi Farzin

Storico

Pubblicato 01 Jan 2026
Disattivato 28 Feb 2026
Sul mercato 141 giorni
ID Annuncio 125448381

Recensioni

Vedi tutte
W

Walter La Rosa

4.7

Se cercate un’agenzia affidabile per investimenti immobiliari, vi consiglio di rivolgervi a questa squadra: hanno una conoscenza approfondita del mercato locale e sono incredibilmente precisi nella ge...