Vendita Villa

Villa

Via Magnone, Ceriale, Savona

327.000 €
Ottimo Affare: 47% sotto la media
218
mq
5+
Locali
2
Camere
2
Bagni

Recensisci questo Immobile

Devi essere registrato per lasciare una recensione.

Accedi

Nessuna recensione ancora. Sii il primo!

Descrizione

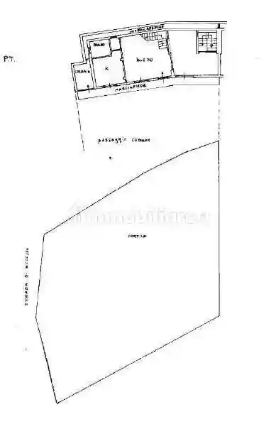
In Comune di Ceriale (SV), Via Magnone 118, villa bifamiliare della superficie commerciale di 218,49 mq.
La villa bifamiliare ha una composizione planimetrica a "Crescent" orientata nord-sud, e si compone di due fabbricati speculari.
La casa in oggetto occupa l'ala più a sud ed è esposta verso sud-est e nord ovest.
Essa si compone di tre piani di cui uno interrato adibito a locale cantina, accessibile dal piano terreno tramite una scala interna; un piano terreno-seminterrato, con accesso sul fronte sud-est, composto da un grande ingresso-sala con stufa a legna, una sala, una cucina abitabile e un bagno; sempre al piano terreno, collegato con l'intercapedine che corre controterra sul lato nord-ovest, trova spazio il locale caldaia, separato dall'abitazione.
Dalla sala-ingresso, tramite una scala interna, si raggiunge il primo piano adibito a zona notte e composto da due camere, un bagno e un ripostiglio.
L'immobile viene venduto dal tribunale tramite asta giudiziaria e il prezzo indicato si riferisce all'offerta minima.
Per chi acquista come prima casa, sono previste agevolazioni.
Cerchi casa all'Asta ?
Ti sei già informato ?
Pensi che il mutuo al 100% sia solo una pubblicità ?
Astexte, la soluzione!
Cosa aspetti ?
HAI UNA CASA PIGNORATA ? POSSIAMO AIUTARTI !
CHIAMACI ALLO 0109841034

Caratteristiche

Ascensore No

Posizione

Referente

Astexte Genova

Storico

Pubblicato 24 Feb 2026
Aggiornato 25 Feb 2026
Sul mercato 1 giorni
ID Annuncio 126376743

Recensioni

Vedi tutte
I

Ivano Pandolfi

5.0

Ho deciso di rivolgermi a questa agenzia immobiliare a Genova perché avevo sentito parlare della loro professionalità e cortesia. Sono stato molto soddisfatto del modo in cui hanno seguito ogni fase d...

S

Silvano Tommasi

4.7

Ricordo ancora il momento in cui ho firmato il contratto, tutto è stato davvero senza intoppi. L'agente mi ha seguito passo dopo passo, mostrando grande disponibilità e attenzione ai dettagli, sopratt...