Vendita Villa

Villa

Valsamoggia, Bologna

Prezzo
Ottimo Affare: 87% sotto la media
250
mq
5+
Locali
5
Camere
2
Bagni

Recensisci questo Immobile

Devi essere registrato per lasciare una recensione.

Accedi

Nessuna recensione ancora. Sii il primo!

Descrizione

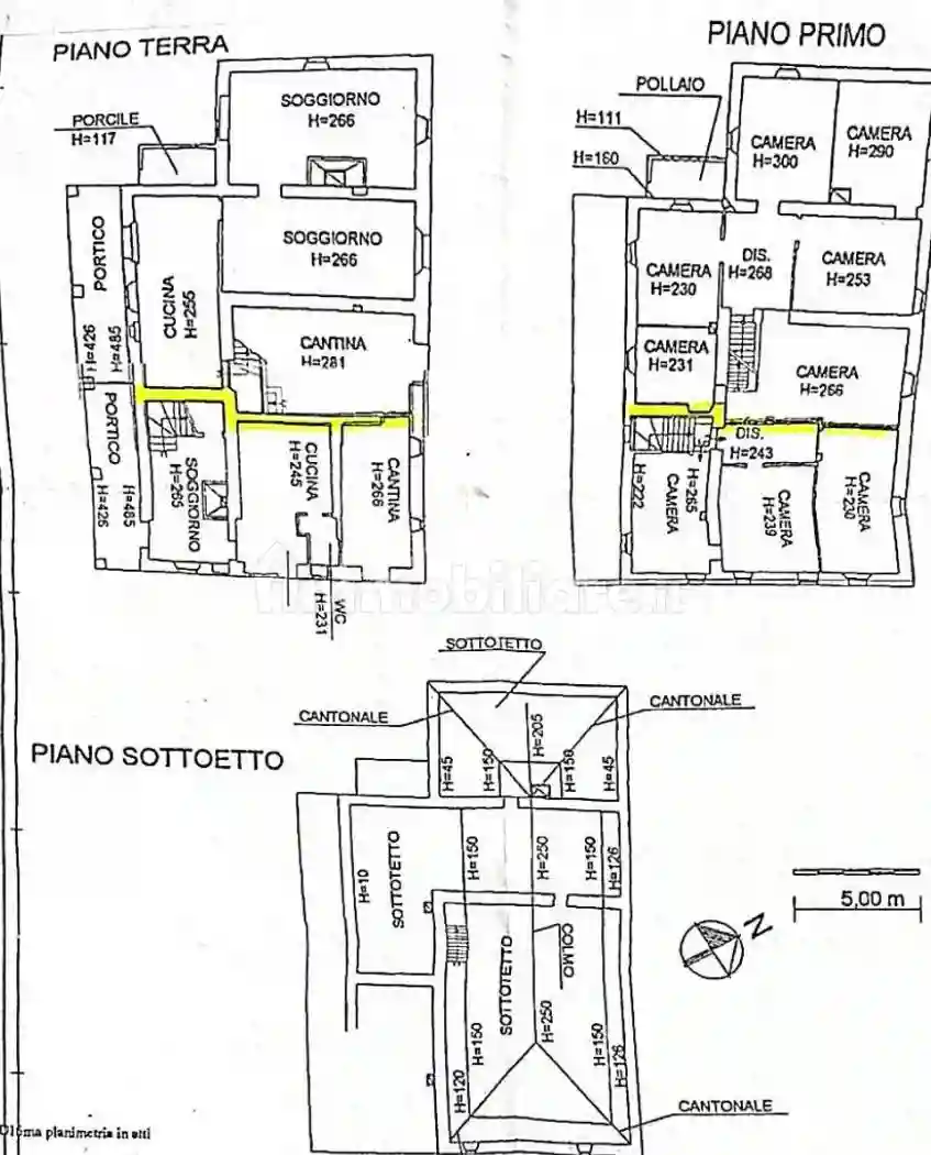
Rif: A451V - Immerso nel verde di Castelletto, in posizione riservata e silenziosa, lontano dal traffico e dalla confusione ma a pochi metri da tutti i principali servizi, proponiamo rustico completamente da ristrutturare dal potenziale unico.

La proprietà è attualmente composta da due unità immobiliari con civici separati, ideale per mantenere due abitazioni indipendenti.

Come evidenziato in planimetria, la colorazione gialla individua esclusivamente l’attuale divisione interna dell’immobile, facilmente modificabile o eliminabile in fase di ristrutturazione, garantendo massima libertà progettuale.

Le immagini presenti nell’annuncio sono rendering puramente indicativi, rappresentativi di un possibile progetto di riqualificazione dell’esterno, realizzati al solo scopo di valorizzare il potenziale dell’immobile.

Entrambe le unità dispongono di giardino di pertinenza, perfetto per vivere gli spazi esterni in totale privacy. Completa la proprietà un fabbricato accessorio, da adibire e trasformare in autorimessa o spazio di servizio.

Una soluzione dal potenziale davvero spropositato, ideale per chi cerca:
✨ tranquillità e verde
✨ libertà progettuale totale
✨ un investimento o una casa su misura

Un immobile per chi desidera pace, natura e servizi a portata di mano, senza compromessi.

Caratteristiche

Ascensore No
Stato Da ristrutturare

Servizi e accessori

Esposizione doppia Mansarda

Referente

Tempocasa Valsamoggia

Storico

Pubblicato 24 Feb 2026
Aggiornato 30 May 2026
Sul mercato 95 giorni
ID Annuncio 126435977

Recensioni

Vedi tutte
G

Greta Olivieri

5.0

Vorrei ringraziarvi sinceramente per l'aiuto che mi avete dato nel trovare il mio bilocale a Valsamoggia. Sono stata molto colpita dalla vostra trasparenza e dalla capacità di ascolto, che mi hanno fa...

C

Caterina Proietti

5.0

Grazie di cuore per avermi seguita con tanta professionalità e puntualità in ogni appuntamento. Mi sono trovata benissimo, l'agenzia ha capito subito le mie esigenze e mi ha aiutato a trovare la nuovo...

M

Miriam Colantuono

4.3

Come già accaduto in passato con altre agenzie, questa volta sono rimasta davvero colpita dalla professionalità e attenzione che ho trovato qui. Mi sono sentita seguita passo dopo passo, con risposte...

L

Luisa Carta

4.3

Se cercate un’agenzia affidabile, vi consiglio di rivolgervi a loro: sono state impeccabili fin dal primo incontro. Mi sono trovata subito seguita e supportata, con puntualità negli appuntamenti e un...