Vendita Appartamento

Appartamento

Via Villa Grandesso, 6, Sossano, Vicenza

Prezzo
Ottimo Affare: 81% sotto la media
261
mq
5+
Locali
3
Camere
2
Bagni

Recensisci questo Immobile

Devi essere registrato per lasciare una recensione.

Accedi

Nessuna recensione ancora. Sii il primo!

Descrizione

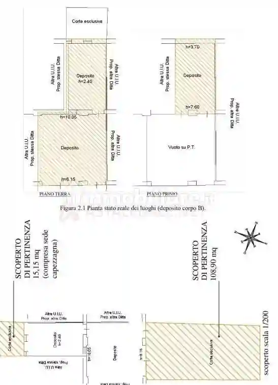
abitazione e depositi siti in sossano (vi), via villa grandesso n.6. lotto così composto: a) abitazione sviluppata su tre piani fuori terra, costituita, al piano terra da ingresso, locale di soggiorno, cucina abitabile con ripostiglio e lavabo, bagno con sanitari e vasca da bagno (boiler acqua calda, dismesso); al piano primo, tre camere distribuite da un corridoio di disimpegno dove si trova la rampa di scala (in muratura al primo impalcato, in legno al secondo impalcato); al piano secondo di sottotetto, due ampi locali h. minima 2,75 m h. massima al colmo 4,20 m; lo stato manutentivo è scarso/pessimo, in particolare si evidenziano parziali crolli delle falde del tetto. lo scoperto a nord del corpo di fabbrica interessa la sede stradale e la banchina a prato incolto fino al fosso che segna il confine con il mappale n.290 della stessa proprietà. b) deposito al piano terra accessibile direttamente dai varchi a sud (arconi attualmente ostruiti) e dal varco ad ovest del sub.9 (a.u.i.) in muratura mista laterizio e sasso con copertura ad orditura in legno e copertura in coppi; impianti non presenti; lo stato manutentivo è scarso. lo scoperto a nord del corpo di fabbrica interessa la sede della capezzagna fino al limitare dei terreni di cui al mappale n.157 di altra proprietà. c) deposito al piano terra con accesso (limitato dallo stato di incuria) direttamente dallo scoperto in cui è inserito, realizzato in struttura a puntoni e traversi di legno con tamponamenti in lamiera ondulata; impianti non presenti. lo stato manutentivo è pessimo con evidenti situazioni di crollo; la precarietà della struttura non ha consentito di effettuare una ispezione dell’interno.
Acquistare un'immobile all'asta, seguiti da un professionista, ti può far risparmiare dal 30 al 50% rispetto al valore di mercato. Possiamo anche finanziare il 100% di aggiudicazione con un mutuo.
Affidati a noi al 3517285211

Caratteristiche

Ascensore No

Posizione

Referente

Asta Esperta

Storico

Pubblicato 12 Mar 2026
Aggiornato 06 Apr 2026
Sul mercato 26 giorni
ID Annuncio 127181687

Recensioni

Vedi tutte
M

Monica Campagna

5.0

Grazie mille per avermi seguita con tanta cura e professionalità! Sono stata davvero contenta della puntualità negli appuntamenti e di come hanno curato ogni dettaglio, trovandomi l’ufficio perfetto p...

C

Claudia Marino

4.7

Se cercate un'agenzia immobiliare affidabile, consiglio di sceglierla con fiducia. Mi sono trovata molto bene: sono stata seguita con cura e professionalità in tutto il processo di vendita del mio app...

L

Luciano Rosati

4.3

Stavo cercando una casa a Montecchio Maggiore da tanto tempo e alla fine grazie a loro ho trovato quello che volevo. Sono stato molto colpito dalla loro serietà e dalla tempestività nelle risposte, mi...

N

Noemi Lauria

4.3

Durante il processo mi sono sentita davvero presa per mano, come se avessi un’amica fidata al mio fianco. Sono stata subito colpita dalla professionalità e dalla cura dei dettagli con cui sono stati g...

L

Luisa Laurenti

4.3

Ringrazio di cuore per l’aiuto ricevuto; sono stata molto soddisfatta dell’efficienza nella gestione burocratica e della capacità di ascolto dimostrata. Mi sono sentita seguita con attenzione e profes...