Indietro
Vendita Casa indipendente

Casa indipendente

Via Mulazzana, Codogno, Lodi

Prezzo
395
mq
5
Locali
3
Camere
3
Bagni

Recensisci questo Immobile

Devi essere registrato per lasciare una recensione.

Accedi

Nessuna recensione ancora. Sii il primo!

Descrizione

Sei amante della tranquillità e delle finiture rustiche? Ho la soluzione ideale per te

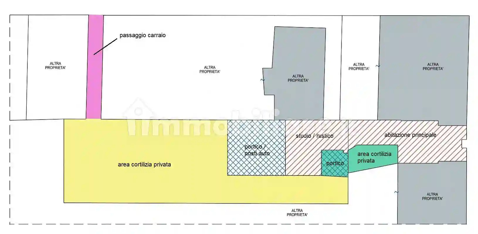
Il loc. Mulazzana, frazione di Castelgerundo, a pochi minuti da Codogno, mettiamo in vendita questa interessante soluzione immobiliare, trattasi di abitazione principale di superficie ampia con annesso rustico e studio (ampio con travi a vista) oltre ad un ampio portico e spazio esterno.
L'abitazione ha l'ingresso principale dalla tranquilla piazzetta della loc. Mulazzana ed composta da salone con camino, cucina abitabile e bagno con doccia e attacco lavatrice; al piano primo troviamo il disimpegno, due camere da letto e bagno con vasca e doccia; al secondo piano, con travi a vista, la camera matrimoniale.
Con il suo ingresso indipendente, troviamo il rustico e l'ingresso per lo studio situato al piano primo, tutto con le travi a vista e della finestre ad arco che illuminano la stanza.
A completare la proprietà, oltre allo spazio cortilizio privato, abbiamo un ampio portico (85mq) utilizzabile anche per posti auto coperti.

Vieni a vederla prima di perdere l'occasione
-------
Novacasa sas di Maiocchi geom. Davide
Codogno (Lo)
Via Galileo Galilei 13
tel. 0377 431184
info@novacasa-online.it
www.novacasa-online.it
Ci trovi anche su Facebook, Instagram & WhatsApp

Caratteristiche

Ascensore No
Stato Ottimo / Ristrutturato
Riscaldamento Autonomo, a radiatori, alimentato a gpl

Servizi e accessori

Caminetto Esposizione esterna Idromassaggio Impianto tv singolo Infissi esterni in doppio vetro / legno Mansarda Porta blindata

Posizione

Referente

Novacasa Sas di Maiocchi geom. Davide

Storico

Pubblicato 01 Apr 2026
Aggiornato 25 May 2026
Sul mercato 54 giorni
ID Annuncio 127706728

Recensioni

Vedi tutte
V

Virginia Rusconi

4.7

Il sorriso che mi ha accolto appena sono entrata in agenzia mi ha subito messo a mio agio. Sono stata seguita passo passo con grande professionalità e calore, trovando il bilocale perfetto per il mio...

S

Simona Sartori

4.7

Ho trovato l’ufficio perfetto grazie all’assistenza attenta e professionale dell’agenzia. Mi sono sentita seguita passo dopo passo, anche durante la fase di mutuo, rendendo tutto più semplice e sereno...

S

Stefania Bianco

4.7

Ho trovato un'agenzia immobiliare molto professionale e disponibile a Codogno. Mi sono sentita seguita con attenzione e rispetto, apprezzando la loro trasparenza e la flessibilità negli orari di incon...

S

Sonia Silvestri

4.3

Stavo cercando un bilocale a Codogno dopo il trasferimento per lavoro e ho trovato questa agenzia che ha capito subito cosa cercavo. Mi sono sentita seguita passo passo e hanno prestato molta attenzio...

G

Grazia Sanna

4.0

Ho trovato l'appartamento perfetto per la mia famiglia grazie a un’agenzia molto professionale. Mi sono sentita seguita passo dopo passo, con una buona conoscenza delle normative e senza stress durant...